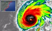
Typhoon Kalmaegi batters Vietnam, forces mass evacuations
Vietnam faces devastating floods and powerful winds as Typhoon Kalmaegi makes landfall, forcing mass evacuations and threatening widespread damage to infrastructure.
Vietnam faces devastating floods and powerful winds as Typhoon Kalmaegi makes landfall, forcing mass evacuations and threatening widespread damage to infrastructure.
Get ahead of the game with our expert racing tips for Monday's action across Windsor, Carlisle, and Leicester. Discover which horses are tipped for glory and boost your betting potential.
Expert analysis and betting tips for today's ITV racing coverage featuring the Coral Silviniaco Conti Chase and other key contests at Kempton and Warwick.
Hurricane Beryl intensifies into earliest Category 5 Atlantic hurricane on record, threatening Jamaica with life-threatening winds and storm surge. Emergency preparations underway across Caribbean.
Hurricane Melissa intensifies as it approaches Jamaica, with meteorologists warning of potential direct hits on Cuba and devastating impacts across the Caribbean region. Latest updates on storm trajectory and emergency preparations.
Tropical Storm Ian rapidly intensifies as it barrels toward the Caribbean, prompting hurricane warnings for Jamaica and storm alerts across the region. Meteorologists warn of potential catastrophic flooding and damaging winds.
Hurricane Beryl has rapidly intensified into a potentially catastrophic Category 5 storm, setting unprecedented records as it barrels toward Jamaica and the Cayman Islands with life-threatening winds and storm surge.
Meteorologists issue urgent warnings as Tropical Storm Melissa gains strength in the Caribbean, posing significant threat to US Eastern Seaboard with potential for devastating flooding and destructive winds.
Tropical Storm Melissa intensifies near Jamaica, prompting hurricane warnings and flood alerts across the Caribbean as meteorologists track its dangerous path.
Tropical Storm Franklin triggers mass evacuations and flight cancellations across the Caribbean as Jamaica and Dominican Republic prepare for torrential rains and life-threatening floods.
Get ahead of the game with our expert analysis of Thursday's racing action. From Lingfield to Southwell, we've got the inside track on today's most promising runners and value bets.
Tropical Storm Melissa intensifies off US East Coast with multiple computer models predicting potential landfalls from Florida to New England. Emergency services on high alert as storm track remains uncertain.
Daring NOAA hurricane hunters embark on critical data-gathering mission through Tropical Storm Melissa, providing life-saving intelligence as Caribbean cyclone activity intensifies.
Meteorologists track newly formed Storm Melissa as it gains strength in the Atlantic, with forecast models predicting potential impacts along the US coastline in coming days.
Meteorologists are tracking newly formed Tropical Storm Melissa as forecast models show possible development toward US coastal regions, prompting early warnings for residents.
Deadly Tropical Storm Fengshen batters the Philippines with catastrophic flooding and landslides, claiming multiple lives and displacing thousands as rescue operations continue.
Powerful Hurricane Beryl leaves trail of destruction across Caribbean islands, killing at least seven people and causing widespread devastation before heading toward Jamaica.
The National Hurricane Centre monitors Tropical Storm Aletta's rapid development in the Pacific, issuing critical warnings as hurricane season gains momentum.
Get ahead of the game with The Newsboy's indispensable horse racing tips for Friday's action at Newbury, York, and more. Your winning streak starts here.
Bermuda braces for catastrophic direct hit from Hurricane Imelda with 115mph winds, forcing complete lockdown of airports, schools and government buildings amid warnings of severe damage.
The Met Office has escalated weather warnings to amber as Hurricane Gabrielle approaches the UK, bringing threats of flooding, structural damage, and severe travel disruption. Residents urged to prepare immediately.
Hurricane Gabrielle has rapidly intensified into a major Category 3 hurricane, posing a severe and life-threatening risk to the East Coast. Residents are urged to prepare for destructive winds, catastrophic flooding, and widespread power outages as emerge
Bermuda battens down as Hurricane Gabrielle unleashes its fury, with powerful winds and torrential rain causing widespread disruption. The storm is now tracking towards the UK overseas territory as a major hurricane.
A sudden, massive solar storm plunged New York City into an unprecedented daytime blackout, exposing critical vulnerabilities in urban infrastructure and sounding a global alarm on climate-driven space weather threats.
The UK braces for a severe weather onslaught as an 880-mile-wide Atlantic storm system threatens 70mph winds and torrential rain, sparking urgent Met Office warnings for travel chaos and potential damage.
The newly formed Tropical Storm Gabrielle is churning in the Atlantic Ocean. The National Hurricane Centre is monitoring its path, with early projections suggesting a turn towards the north. Experts assess the potential implications for UK weather pattern
The UK is on high alert as forecasters predict hurricane-strength winds reaching 99mph set to batter the nation. The Met Office has issued severe weather warnings for potential travel chaos, power cuts, and structural damage.
Get the inside scoop on Friday's top horse racing picks at Newbury and Ayr. Our expert analysis highlights the day's most promising runners and potential value bets for your flutter.
Meteorologists track Hurricane Gabrielle's potential path towards the UK. Exclusive spaghetti models and expert analysis reveal the storm's projected trajectory, intensity, and potential impact on British weather later this week.
NASA scientists issue a stark warning as the sun enters a period of heightened activity, increasing the risk of powerful solar storms that could cripple satellites, disrupt power grids, and trigger spectacular auroras over the UK.