Indonesia landslide death toll rises to 23
The death toll from devastating landslides on Indonesia's Java island has climbed to 23, with 28 people still missing. Rescue teams are working against the clock. Read the latest updates.
The death toll from devastating landslides on Indonesia's Java island has climbed to 23, with 28 people still missing. Rescue teams are working against the clock. Read the latest updates.
Vietnam faces devastating floods and powerful winds as Typhoon Kalmaegi makes landfall, forcing mass evacuations and threatening widespread damage to infrastructure.
Severe tropical storm Typhoon Kalmaegi barrels toward northern Philippines, triggering urgent evacuation warnings and raising fears of devastating flash floods and destructive winds across vulnerable regions.
Tropical Storm Kalmaegi unleashes devastation across Cebu province, claiming multiple lives and triggering catastrophic flooding as rescue operations intensify.
Severe tropical storm Typhoon Kalmaegi wreaks havoc across northern Philippines, forcing mass evacuations and causing widespread flooding and power outages as emergency services battle to rescue trapped residents.
Powerful Typhoon Kalmaegi unleashes torrential rains and devastating floods across northern Philippines, forcing mass evacuations and causing widespread destruction to homes and infrastructure.
Severe Typhoon Kalmaegi unleashes torrential rains and destructive winds across northern Philippines, forcing mass evacuations and threatening widespread devastation as it continues its dangerous path.
Severe tropical storm Typhoon Kalmaegi unleashes torrential rains across northern Philippines, triggering widespread flooding and forcing thousands to evacuate their homes.
Exclusive aerial footage captures the catastrophic impact of Hurricane Melissa on a Jamaican coastal community, showing entire neighbourhoods transformed by the powerful Category 4 storm's fury.
Hurricane Beryl intensifies into earliest Category 5 Atlantic hurricane on record, threatening Jamaica with life-threatening winds and storm surge. Emergency preparations underway across Caribbean.
Hurricane Donald's devastating path through Jamaica leaves unprecedented destruction, with rescue teams battling to reach isolated communities as death toll rises.
Hurricane Melissa leaves trail of destruction across Jamaica and Cuba with confirmed fatalities, widespread flooding, and catastrophic damage to infrastructure as rescue operations intensify.
Hurricane Melissa intensifies as it approaches Jamaica, with meteorologists warning of potential direct hits on Cuba and devastating impacts across the Caribbean region. Latest updates on storm trajectory and emergency preparations.
Tropical Storm Ian rapidly intensifies as it barrels toward the Caribbean, prompting hurricane warnings for Jamaica and storm alerts across the region. Meteorologists warn of potential catastrophic flooding and damaging winds.
Hurricane Beryl has rapidly intensified into a potentially catastrophic Category 5 storm, setting unprecedented records as it barrels toward Jamaica and the Cayman Islands with life-threatening winds and storm surge.
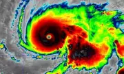
Hurricane Melissa, a devastating Category 5 storm, has made landfall in Jamaica with winds exceeding 160mph, triggering mass evacuations and threatening catastrophic damage across the Caribbean.
Hurricane Beryl leaves trail of destruction across southeast Caribbean, with at least seven confirmed deaths. Jamaica braces for direct hit as catastrophic Category 5 storm approaches.
Jamaica faces unprecedented crisis as Hurricane Melissa, the most powerful storm of 2024, triggers mass evacuations and emergency preparations across the island nation.
Hurricane Melissa intensifies to Category 4 storm, triggering mass evacuations across Jamaica and Cuba as Caribbean nations face potentially devastating winds and flooding.
Hurricane Beryl's catastrophic path through the Caribbean leaves trail of destruction across Jamaica, Haiti, and Dominican Republic, prompting urgent international response efforts.
Meteorologists issue urgent warnings as Tropical Storm Melissa gains strength in the Caribbean, posing significant threat to US Eastern Seaboard with potential for devastating flooding and destructive winds.
Tropical Storm Melissa intensifies near Jamaica, prompting hurricane warnings and flood alerts across the Caribbean as meteorologists track its dangerous path.
Tropical Storm Melissa triggers catastrophic flooding across the Caribbean, claiming lives and forcing thousands to evacuate as forecasters warn of further intensification.
Tropical Storm Franklin triggers mass evacuations and flight cancellations across the Caribbean as Jamaica and Dominican Republic prepare for torrential rains and life-threatening floods.
Tropical Storm Melissa intensifies off US East Coast with multiple computer models predicting potential landfalls from Florida to New England. Emergency services on high alert as storm track remains uncertain.
Daring NOAA hurricane hunters embark on critical data-gathering mission through Tropical Storm Melissa, providing life-saving intelligence as Caribbean cyclone activity intensifies.
Meteorologists track newly formed Storm Melissa as it gains strength in the Atlantic, with forecast models predicting potential impacts along the US coastline in coming days.
Meteorologists are tracking newly formed Tropical Storm Melissa as forecast models show possible development toward US coastal regions, prompting early warnings for residents.
Deadly Tropical Storm Fengshen batters the Philippines with catastrophic flooding and landslides, claiming multiple lives and displacing thousands as rescue operations continue.
Massive storm batters Alaska's western coast, causing widespread destruction and flooding. Governor Mike Dunleavy declares disaster as White House considers emergency assistance.