Hurricane Melissa Threatens Jamaica: Stunning Animation Reveals Storm's Path
Hurricane Melissa Threatens Jamaica: Storm Animation

Meteorological authorities are closely monitoring Hurricane Melissa as the newly formed storm sets its course toward Jamaica, prompting urgent preparations across the Caribbean nation.

Storm Intensification Raises Concerns

The hurricane has been steadily gaining strength as it moves through favourable atmospheric conditions, with experts warning of potential significant impact on Jamaica within the coming days. Emergency services across the island have been placed on high alert as residents begin taking necessary precautions.

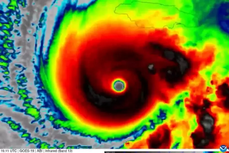
Visualising the Threat: Animation Reveals Path

A compelling meteorological animation has been released, providing a stark visual representation of Melissa's projected trajectory. The detailed simulation shows the storm system developing and intensifying as it approaches Jamaican territory, offering valuable insight for both authorities and the public.

Wide Pickt banner — collaborative shopping lists app for Telegram, phone mockup with grocery list

Regional Preparations Underway

Jamaican officials have initiated standard hurricane preparedness protocols, including:

  • Emergency shelter identification and preparation
  • Coastal area evacuation planning
  • Stockpiling essential supplies and emergency equipment
  • Coordination with regional disaster management agencies

The animation particularly highlights the storm's structure and development patterns, allowing meteorologists to better predict potential landfall locations and intensity fluctuations.

Historical Context and Seasonal Patterns

This development comes during the peak of the Atlantic hurricane season, a period when Caribbean nations remain particularly vulnerable to tropical systems. Hurricane Melissa follows typical formation patterns for late-season storms in the region, though its rapid intensification has caught the attention of weather experts worldwide.

Residents throughout Jamaica are advised to closely monitor official updates and heed any evacuation orders that may be issued as the situation develops.

Pickt after-article banner — collaborative shopping lists app with family illustration